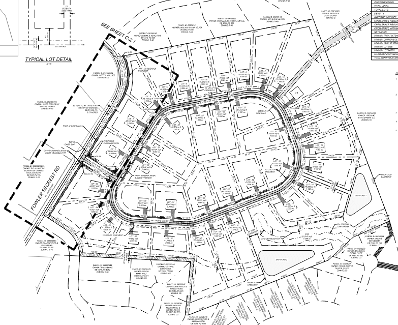
A by-right development consisting of 38 detached single family lots to be constructed on 52.30 acres. Located along Fowler Secrest Road.
Project Status
Under Construction
Contact Information
- Developer: Mattamy Homes
- Engineering Firm: Eagle Engineering
- For more information, contact Planning: 704-282-4520