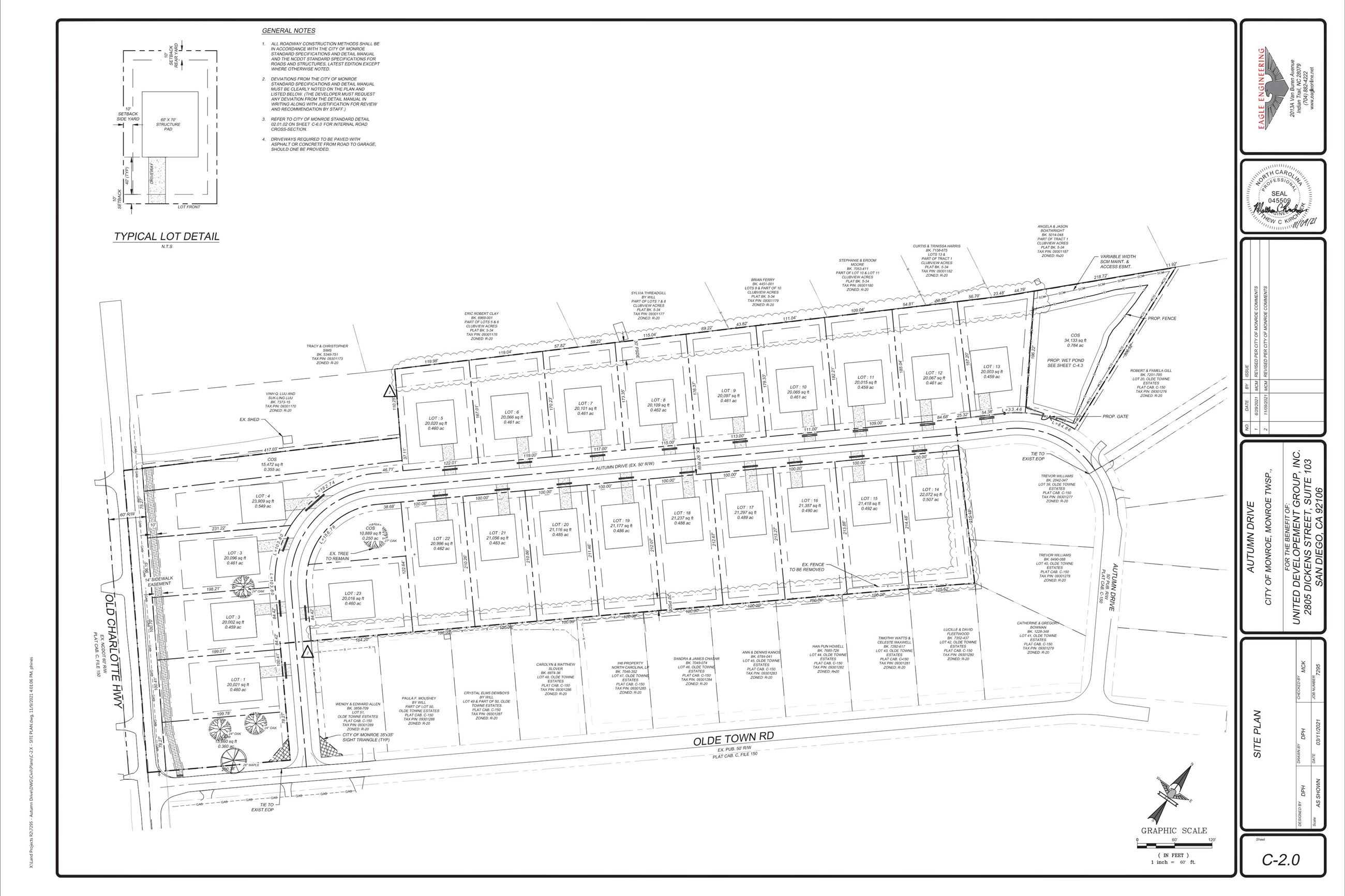
Autumn Drive Extension

A by-right development consisting of 23 single-family detached lots to be constructed on 14.46 acres. Located off Olde Town Road/Autumn Drive.

Project Status

Built Out. Approved by City Staff on February 17, 2022.

Contact Information

  • Developer: Eastwood Homes
  • Engineering Firm: Eagle Engineering
  • For more information, contact Planning: 704-282-4520
  1. 1 Autumn Dr Extension Site Plan
  2. 2 Autumn Dr Extension Aerial